Слои и ископаемые остатки
Как показано на рисунке 6, большая часть наносов, которые сносятся с суши, в конце концов осаждается в бассейнах, частично в пределах суши, но главным образом вне суши – в море. Эти осадки широко распространены и образуют почти горизонтальные слои; осадки со временем постепенно переходят в осадочные породы. Впоследствии территория бассейна может претерпеть поднятие и быть прорезана реками. При этом становятся видны слои, как в ломтике слоеного пирога. Если долина глубока и не покрыта растительностью, на ее бортах можно наблюдать весьма впечатляющую последовательность слоев. Перед нами как бы предстают страницы, на которых записана большая часть истории Земли. Едва ли нужно пояснять, что залегающий в самом низу слой должен быть самым древним, так как он отлагался первым, и что выше залегают все более молодые слои.
Большая часть слоев Земли содержит ископаемые остатки, главным образом остатки морских животных. Данный факт свидетельствует о том, что значительная часть (по крайней мере три четверти) известных в настоящее время слоев имеет морское происхождение. Это едва ли удивит нас, если мы представим себе, что моря – это впадины, в которых скапливаются отложения; для осадков, отложившихся на суше, вероятность размыва гораздо больше, чем для морских отложений.
Фото 3. Слои осадочных пород, выходящие в стенке Большого каньона вблизи устья Шинумо-Крик (вид на северо-запад, вниз по течению), Расстояние по вертикали от края обрыва до русла реки Колорадо (на переднем плане) около 1600 метров.
Сравнение ископаемых морских организмов с подобными же организмами, живущими сейчас, хорошо показывает, что они жили не в глубоком море, а на мелководье, глубиной около 200 метров, напоминающем современные моря континентального шельфа. Многие виды жили совсем на мелководье, у самого берега. И тут мы подходим к главному пункту в наших рассуждениях. Хотя многие организмы, найденные в ископаемом состоянии в пластах пород, напоминают современные, лишь немногие из них относятся в точности к тому же виду, что и организмы, живущие в настоящее время. Они отличаются, причем эти отличия больше всего выражены в нижних, самых древних слоях и меньше в верхних, молодых. Другими словами, ископаемые организмы постепенно изменяются при переходе от нижних слоев к верхним, а как мы помним, переход от нижних слоев к верхним соответствует движению вперед во времени. Эти различия означают, что организмы изменялись с течением времени, и мы можем проследить эти изменения по остаткам, которые сохранились в пластах. Конечно, перемены происходили очень медленно.
Как мы увидим позднее, процесс эволюционных изменений не является процессом, автоматически совершающимся в самих организмах. В своей основе этот процесс состоит из изменений, являющихся косвенной реакцией на условия среды, в которых живут эти организмы. По мере того как под влиянием медленных движений земной коры или других причин моря заливали сушу или отступали, сообщества морских организмов соответственно распространялись или смещались и при этом медленно эволюционировали, то есть изменяли форму. Скорость расселения организмов была гораздо больше, чем скорость, с которой они сами изменялись. Поэтому измененные формы легко распространялись повсеместно, так что сейчас ископаемые, совершенно одинаковые или близкие по форме, могут встретиться в приблизительно одновозрастных слоях на территории двух и более континентов.
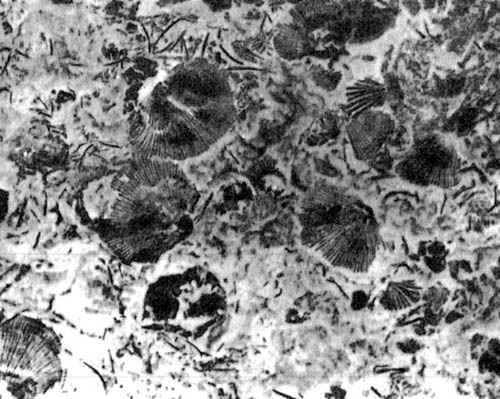
Фото 4. Ископаемые остатки беспозвоночных, обнаруженные на поверхности слоя известняка. Этот слой когда-то был дном мелководного моря, покрывавшего часть американского континента сотни миллионов лет назад.
В качестве современного примера быстрого распространения организма можно привести моллюска Littorina littorea, обычно встречающегося в прибрежном мелководье. До 1852 г. этот моллюск обитал только на побережье Европы. Между 1852 и 1857 гг. он обосновался в бухте порта Галифакса (провинция Новая Шотландия, Канада), куда он предположительно был завезен с каким-либо кораблем, прибывшим из Европы. Моллюск быстро распространился к югу и, как было установлено, к 1880 г. достиг гавани Нью-Хейвен, штат Коннектикут, США, причем на сей раз он двигался самостоятельно, не прибегая к помощи кораблей. Отсюда следует, что средняя скорость его движения составляет около 50 километров в год. При такой скорости, если бы он мог двигаться повсюду, не встречая преград, чего в действительности не было, этот моллюск распространился бы по всему земному шару менее чем за 1000 лет.
Сходство эволюционного процесса, которое прослеживается в общих чертах во всем мире, имеет большое значение. Мы можем сказать, что два пласта, встреченные на двух разных континентах, но содержащие близкий комплекс ископаемых, должны быть близки по возрасту. Справедливость этого заключения стала очевидной за сто лет до того, как оно было подтверждено измерениями возраста, основанными на радиоактивности. Благодаря этому соответствию возможно сопоставление или корреляция пространственно разобщенных пластов в различных частях одного и того же континента или на различных континентах (Это утверждение только приблизительно правильно. Земная поверхность своим разнообразием влияет на эволюцию организмов и их расселение. Поэтому одновозрастные слои могут содержать в разных местах и существенно различные ископаемые остатки организмов. Прим. ред.).
Предыдущая | Оглавление | Следующая
